
DETERMINATION
BUSINESS PAPER
Local Planning Panel meeting
Wednesday 24 September 2025
at 11:00 AM

Hornsby Shire Council Table of Contents
Page 1
TABLE OF CONTENTS
ITEMS
Item 1 LPP22/25 DA/825/2025 - Torrens Title Subdivision of One Lot Into Two - 21 Berowra Road, Mount Colah.............. 1
Item 2 LPP23/25 DA/478/2024/A - Section 4.55(2) Application to Modify Approved Alterations and Additions to Dwelling - 31 Boundary Road, North Epping.... 20
LPP Report No. LPP22/25
Local Planning Panel
Date of Meeting: 24/09/2025
1 DA/825/2025 - TORRENS TITLE SUBDIVISION OF ONE LOT INTO TWO - 21 BEROWRA ROAD, MOUNT COLAH
|
DA No: |
DA/825/2025 (PAN-554763 - Lodged 18 July 2025) |
|
Description: |
Torrens title subdivision of one lot into two |
|
Property: |
Lot 36 Sec C DP 2052, No. 21 Berowra Road, Mount Colah |
|
Applicant: |
ApproveAll Town Planning Pty Ltd |
|
Owner: |
Mr Pawan Neupane Joshi & Bhujam Ghimire Neupane |
|
Estimated Value: |
$16,500 |
|
Ward: |
A Ward |
|
Clause 4.6 Request: |
Clause 4.1 Minimum Subdivision Lot Size |
|
Submissions: |
1 |
|
LPP Criteria: |
Proposal contravenes a development standard by more than 10% |
|
Author: |
George Papworth, Senior Town Planner |
|
COI Declaration: |
No Council staff involved in the assessment of this application have declared a Conflict of Interest. |
|
THAT the Hornsby Local Planning Panel, exercising the functions of Council as the consent authority, refuse Development Application No. DA/825/2025 for the Torrens title subdivision of one lot into two at Lot 36 Sec C DP 2052, No. 21 Berowra Road, Mount Colah for the reasons detailed in Schedule 1 of LPP Report No. LPP22/25. |
executive summary
· The application involves the Torrens title subdivision of one lot into two and the retention of the existing dwelling.
· The proposal does not comply with Clause 4.1 minimum subdivision lot size of the Hornsby Local Environmental Plan 2013 (HLEP). The applicant has made a submission in accordance with Clause 4.6 ‘Exceptions to development standards’ of the HLEP to contravene Clause 4.1. The submission is not considered well founded and is not supported.
· One submission has been received in respect of the application.
· The application is required to be determined by the Hornsby Council Local Planning Panel as the proposal contravenes a development standard by more than 10%.
· It is recommended that the application be refused.
SITE
The 962.6m2 corner lot is located on the northern side of Berowra Road and eastern side of Gray Street, Mount Colah. The site contains an existing single storey dwelling on the front portion of the site facing Berowra Road.
The site experiences a fall of 2.8 metres from the front boundary to rear boundary.
The site is not bushfire prone land. The site is not flood prone land.
The site is not burdened by any easements or restrictions.
The site does not contain a heritage listed item, is not located in the vicinity of any heritage listed items and is not located within a heritage conservation area.
PROPOSAL
The application proposes the Torrens title subdivision of one lot into two as follows:
· Proposed Lot 361 would have an area of 525.4m2 and would be accessed by a proposed driveway off Berowra Road. The existing dwelling on Lot 361 would be retained.
· Proposed Lot 362 would have an area of 437.3m2 and would be accessed by the existing vehicular crossover off Gray Street.
No trees are proposed to be removed.
ASSESSMENT
The development application has been assessed having regard to the Greater Sydney Region Plan - A Metropolis of Three Cities, the North District Plan and the matters for consideration prescribed under Section 4.15 of the Environmental Planning and Assessment Act 1979 (the Act). The following issues have been identified for further consideration.
1. STRATEGIC CONTEXT
1.1 Greater Sydney Region Plan - A Metropolis of Three Cities and North District Plan
The Greater Sydney Region Plan - A Metropolis of Three Cities has been prepared by the NSW State Government to guide land use planning decisions over the next 40 years (to 2056). The Plan sets a strategy and actions for accommodating Sydney’s future population growth and identifies dwelling targets to ensure supply meets demand. The Plan also identifies that the most suitable areas for new housing are in locations close to jobs, public transport, community facilities and services.
The NSW Government will use the subregional planning process to define objectives and set goals for job creation, housing supply and choice in each subregion. Hornsby Shire has been grouped with Hunters Hill, Ku-ring-gai, Lane Cove, Mosman, North Sydney, Ryde, Northern Beaches and Willoughby to form the North District. The North District Plan includes priorities and actions for Northern District over the next 20 years.
The identified challenge for Hornsby Shire will be to provide 5,500 new completed homes by 2029 with further strategic supply targets to be identified to deliver 97,000 additional dwellings in the North District by 2036.
The proposed development would be consistent with the Greater Sydney Region Plan - A Metropolis of Three Cities and the North District Plan, by contributing to achieving the dwelling targets for the region.
2. STATUTORY CONTROLS
Section 4.15(1)(a) requires Council to consider “any relevant environmental planning instruments, draft environmental planning instruments, development control plans, planning agreements and regulations”.
2.1 Hornsby Local Environmental Plan 2013
The Hornsby Local Environmental Plan 2013 (HLEP) applies to all land within Hornsby Shire. An assessment of the development against the relevant sections of the HLEP is provided below.
2.1.1 Zoning of Land and Permissibility
The subject land is zoned R2 Low density residential under the HLEP. The objectives of the R2 zone are:
· To provide for the housing needs of the community within a low density residential environment.
· To enable other land uses that provide facilities or services to meet the day to day needs of residents.
The proposed development is defined as “subdivision” and is permissible in the zone with Council’s consent.
2.1.2 Clause 4.1 Minimum Lot Size
The application seeks to contravene Clause 4.1 (minimum subdivision lot size) of the HLEP. Proposed Lot 362 would be 437.3m2 which does not meet the 500m2 requirement and would be an 12.5% variation. The specific objectives of Clause 4.1 are:
(a) to provide for the subdivision of land at a density that is appropriate for the site constraints, development potential and infrastructure capacity of the land,
(b to ensure lots are of sufficient size to accommodate development consistent with development controls,
(c) to ensure new subdivisions reflect characteristic lot sizes and patterns of the area,
(d) to ensure lots are large enough to protect cultural and natural features, including heritage items, heritage conservation areas, vegetation, habitats and waterways.
The application includes a written request under Clause 4.6, prepared by ApproveAll Town Planning dated 11 June 2025. Council considers that the written request does not satisfactory justify the contravention of the development standard as required under Clause 4.6(3). Additionally, concerns are raised that approval of the application would set an undesirable precedent for undersized allotments within the Hornsby Shire. This matter is discussed further in Part 2.1.4 of this report.
2.1.3 Height of Buildings
Clause 4.3 of the HLEP provides that the height of a building on any land should not exceed the maximum height shown for the land on the Height of Buildings Map. The maximum permissible height for the subject site is 8.5m. The proposal includes retention of the existing dwelling on the site which has a maximum height of 6.5m and complies with this provision.
2.1.4 Exceptions to Development Standards
The application has been assessed against the requirements of Clause 4.6 of the HLEP. This clause provides flexibility in the application of the development standards in circumstances where strict compliance with those standards would, in any particular case, be unreasonable or unnecessary or tender to hinder the attainment of the objectives of the zone.
Clause 4.1 of the HLEP prescribes that the minimum subdivision lot size is not to be less than the minimum size shown for the land on the Minimum Lot Size Map, which is 500m2. The proposed subdivision would result in Lot 362 having an area of 437.3m2 which would result in a 12.5% contravention of the minimum lot size requirement.
The applicant has made a submission in support of the contravention to the development standard in accordance with Clause 4.6 of the HLEP. Clause 4.6 provides that development consent must not be granted for development that contravenes a development standard unless the consent authority has considered a written request from the applicant that seeks to justify the contravention of the development standard by demonstrating that:
(a) compliance with the development standard is unreasonable or unnecessary in the circumstances of the case, and
(b) there are sufficient environmental planning grounds to justify contravening the development standard.
In Initial Action Pty Ltd v Woollahra Municipal Council [2008] NSW LEC 118, Preston CJ clarified the correct approach to dealing with a written request under Clause 4.6 to justify the contravention of a development standard.
In relation to determining the matter under cl 4.6(3)(a), the unreasonable or unnecessary clause, the consent authority must be satisfied that the applicant’s written request adequately addresses the matter as opposed to of making its own judgement regarding whether compliance is unreasonable or unnecessary. Additionally, the clause does not require that a non-compliant development should have a neutral or beneficial effect relative to a compliant development.
In relation to determining the matter under cl 4.6(3)(b), the environmental planning grounds clause, non-compliant development is not required to result in a ‘better environmental planning outcome for the site’ relative to a compliant development. Instead, the requirement is only that there are sufficient environmental planning grounds to justify the development standard contravention.
Council must be satisfied that the written request provided by the applicant under Clause 4.6 addresses both the unreasonable and unnecessary test and demonstrates sufficient environmental planning grounds to justify contravening the development standard. These matters are discussed below.
2.1.4.1 Unreasonable or Unnecessary Clause 4.6(3)(a)
There are five common methods by which an applicant can demonstrate that compliance with a development standard is unreasonable or unnecessary in the circumstances of the development. Initially proposed for objections under clause 6 of SEPP 1 in the decision of Wehbe v Pittwater Council [2007] NSWLEC 827 Pearson C summarised and applied these methods to written requests made under Clause 4.6 in Four2Five Pty Ltd v Ashfield Council [2015] NSWLEC 1009 [61-62]. These five methods are generally as follows:
· The objectives of the development standard are achieved notwithstanding non-compliance with the standard.
· The underlying objective or purpose is not relevant to the development.
· That the objective would be defeated or thwarted if compliance was required.
· That the development standard has been virtually abandoned or destroyed by the Council’s own actions in departing from the standard.
· The zoning of the land is unreasonable or inappropriate.
It is not required to demonstrate that a development meets multiple methods as listed above, and the satisfaction of one can be adequate to demonstrate that the development standard is unreasonable or unnecessary.
The written request prepared by ApproveAll Town Planning, dated 11 June 2025 provides a detailed assessment of the proposal with respect to the development standard sought to be contravened. The request argues that:
‘The purpose of this written request is focusing on the objectives of the development standard and how they are achieved notwithstanding the non-compliance of this proposal, as well as the many precedence of similar development approved for an ‘under-sized’ lot.
Are the objectives of the development standard achieved notwithstanding the non-compliance?
Despite the numerical departure, the subdivision reflects a low-impact, site-responsive outcome that is appropriate to the physical constraints, residential context, and servicing capacity of the land. Both lots are capable of supporting compliant residential development consistent with the objectives of the R2 Low Density Residential zone.
The proposal does not introduce additional development or intensify land use but rather facilitates an orderly subdivision of an existing allotment to enable housing diversity and land tenure flexibility. The site is fully serviced and located within an established residential area where a range of lot sizes already exist, including several nearby properties well below the 500 sqm threshold. These include 19 Berowra Road (approx. 446 sqm), 20 Berowra Road (approx. 300 sqm), 22 Berowra Road (approx. 400 sqm), and 14 Bolton Avenue (approx. 385 sqm), illustrating a clear pattern of varied lot sizes in the locality.
Although the subdivision of 19 Berowra Road was approved in 2013 under the previous Hornsby LEP, the resulting lot configuration has become an integrated part of the local character. It supports the argument that sub-500 sqm lots are already present and functioning well in the immediate area. The current proposal aligns with that established pattern and provides a practical planning outcome suited to the infrastructure and development potential of the site. In this context, strict application of the minimum lot size standard would be unnecessary and would prevent a logical and contextually appropriate subdivision.
The proposed lots have been designed to ensure they can accommodate development that is compliant with the Hornsby Development Control Plan 2024 (HDCP), particularly the provisions under Part 3.1 (Dwelling Houses) and Part 6.2 (Subdivision). The creation of Lot B (437 sqm) includes sufficient site area, frontage, and dimensions to enable a future dwelling that meets the required setbacks, private open space, and parking standards.
As part of the subdivision, the existing detached garage is to be demolished, and a new hardstand car space and driveway will be constructed for the retained dwelling on proposed Lot A. This satisfies the on-site parking requirement under Section 3.1.7 of the HDCP, which mandates that parking for dwelling houses be provided behind the front building line and accessed via a paved driveway with a 0.5 metre side boundary setback. The subdivision layout also achieves the minimum setback controls specified in Table 6.2.1-c of Part 6 of the HDCP. Proposed development envelopes on both lots can comply with the required 6 metre front setback, 0.9 metre side setbacks, and 3 metre rear setback. Additionally, each lot can accommodate a minimum 24m² principal private open space area and meets the minimum landscaped area requirement of 20% for lots under 600 sqm.
Given that all essential development controls relating to dwelling layout, private open space, landscaping, parking and setbacks can be achieved, the proposed lot sizes are sufficient for development consistent with the planning framework. The variation to the 500 sqm minimum does not compromise the ability to deliver a compliant and functional residential outcome.
The subject site is not affected by any identified cultural or natural features that require protection under the Hornsby Local Environmental Plan 2013 or other planning instruments. There are no heritage listings, mapped conservation areas, significant vegetation, or nearby watercourses affecting the land. As such, the proposed lot sizes are sufficient to maintain the environmental integrity of the site. The variation to the minimum lot size standard does not pose any risk to environmental or cultural values, and the objective of Clause 4.1(d) is therefore achieved by default.
Are the underlying objectives or purpose of the development standard not relevant to the development?
In this case, strict application of the minimum lot size standard is not directly relevant to the planning outcome sought. The control is intended to ensure new lots are capable of supporting appropriate residential development in line with site constraints, servicing capacity and local character. However, the proposal does not introduce any new built form or additional dwellings. It seeks only to formalise a low-impact subdivision that remains compatible with the surrounding lot configuration.
The proposed lot sizes are consistent with the established subdivision pattern along Berowra Road, which already includes multiple lots well under 500 sqm. For example, 19 Berowra Road was subdivided in 2013, creating a new allotment of approximately 446 sqm. While that approval occurred under the previous LEP, the resulting built form and urban grain have since become part of the area's prevailing character.
The smaller proposed lot (437 sqm) is functional, well-designed and capable of accommodating a compliant residential dwelling. It maintains access, amenity and appropriate site layout consistent with local planning controls. As such, while the intent of the lot size standard remains relevant in principle, its strict numerical application in this case is not necessary to achieve sound planning outcomes, and is therefore not directly applicable to the circumstances of this proposal.
Would the underlying objective or purpose be defeated or thwarted if compliance was required?
Yes, requiring strict compliance with the minimum lot size in this instance would undermine the broader purpose of the control. The intent of Clause 4.1 is to ensure subdivision occurs at a density suitable for the site’s context, infrastructure capacity, and surrounding character. In this case, the site is fully serviced, capable of accommodating compliant development on both proposed lots, and situated in a locality where numerous nearby properties fall below the 500 sqm threshold.
Forcing compliance would prevent a modest, well-considered subdivision that reflects the established lot pattern of the area, despite the fact that the proposal meets all other planning and design objectives. The smaller proposed lot (437 sqm) is functional, appropriately designed, and introduces no adverse environmental or amenity impacts. Denying the application on the basis of a numerical shortfall alone would result in a less efficient and less flexible planning outcome, contrary to the objectives of Clause 4.6 and the orderly use of residential land.
Therefore, strict adherence to the development standard in this case would defeat the standard’s intended purpose, which is to guide sensible and context-sensitive development - not to impose a blanket prohibition where no planning harm exists.
Has the development standard been virtually abandoned or destroyed by the council’s own actions in granting consents departing from the standard?
There is evidence that Hornsby Council has accepted variations to the minimum lot size standard in certain contexts, particularly where the resulting lots are compatible with the surrounding subdivision pattern and demonstrate site specific merit. While it cannot be said that Clause 4.1 has been entirely abandoned, the pattern of development in this part of Mount Colah suggests a flexible and pragmatic approach to its application. Multiple lots within the immediate area, including 19, 20 and 22 Berowra Road and 14 Bolton Avenue, are all under the 500 sqm minimum and were lawfully created through previous approvals. Although some, such as 19 Berowra Road, were approved under the former LEP, the resulting subdivision pattern has been reinforced over time through subsequent development and remains consistent with the prevailing built form. These outcomes indicate that Council has not applied the 500 sqm control as an absolute threshold and has previously supported lot sizes below the minimum where the subdivision produces no adverse impacts and remains consistent with the character of the locality. The acceptance of such lots as part of the current urban form supports the view that rigid application of Clause 4.1 is not always required to achieve good planning outcomes. In this case, the proposed variation continues that established pattern and does not undermine the strategic intent of the control.
With reference to the reasoning provided by the applicant above, Council objects to the conclusion that the proposed subdivision meets the objectives of Clause 4.1 of the HLEP as the objectives of the development standard cannot be achieved notwithstanding non-compliance with the standard.
· It is considered that the proposed development would be contrary to the objectives of Clause 4.6 of the HLEP as there are insufficient environmental planning grounds to justify contravening the development standard.
· Approval of the application would result in an undesirable precedent for similar undersized allotments in the locality and the written statement has provided insufficient site characteristics that are specific to the subject site that would not allow for a precedent to be set.
· The existing undersized subdivision in the vicinity referred to in the applicant’s submission have been approved as dual occupancies under the State Government’s urban consolidation policies, namely Sydney Regional Environmental Plan No. 12 Dual Occupancy (SREP 12) and State Environmental Planning Policy No. 25 Residential Allotment Sizes (SEPP 25). On 19 May 1994, the then Minister for Urban Affairs and Planning repealed the right to separate titles on dual occupancy developments. However, despite the repeal of SREP 12 and SEPP 25, the subdivision of dual occupancies with reduced lot sizes was permitted under the Hornsby Shire Local Environmental Plan 1994 (HSLEP) until December 1995. On 15 December 1995, to bring the HSLEP in line with State Government policies, HSLEP (Amendment No. 8) was gazetted to preclude the subdivision of multi-unit housing developments where proposed allotment sizes were less than the minimum area per allotment under Clause 14 Density development standard, which was 500m2 for this site. In September 2013, the current HLEP was gazetted which maintained a minimum allotment size of 500m2 and prohibited ‘multi-unit housing’ and ‘dual occupancies’ within the R2 Low Density Residential zone. The example of the undersized allotments referred to in the applicant’s submission were approved prior to the gazettal of the HLEP, and consequently, prior to the in-force development standards under Clause 4.1 and the provisions under Clause 4.6 of the HLEP.
· Proposed Lot 361 does not comply with Part 3.1.7(a) which requires car parking for dwellings to be provided behind the building line.
· Council is unsupportive of the argument that because a dwelling can be erected on a smaller allotment, it is therefore appropriate to vary the minimum subdivision lot size.
· In this regard, the above examples cannot be provided as justification for precedence for the creation of undersized allotments in the Hornsby Shire.
For the reasons outlined above, it is considered that the written request to contravene the minimum subdivision lot size development standard inadequately demonstrates that the objectives of the minimum subdivision lot size development standard contained within Clause 4.1 of the HLEP are achieved, notwithstanding non-compliance with the standard.
Council is not satisfied that Clause 4.6(3)(a) of the HLEP is adequately addressed.
2.1.4.2 Environmental Planning Grounds - Clause 4.6(3)(b)
In addition to demonstrating that compliance is unreasonable or unnecessary, Clause 4.6(3)(b) requires that there are sufficient environmental planning grounds to justify contravening the development standard. In demonstrating that sufficient environmental planning grounds exist it must be demonstrated that the planning grounds are particular to the circumstances of the development on the subject site (summarised from Four2Five Pty Ltd v Ashfield Council [2015] NSWLEC 1009 [60].
The applicant provided the following planning grounds for the contravention of the development standard:
· The subject site is located in a well-established residential area where a variety of lot sizes exist, including several lots under 500 sqm within close proximity. The proposed subdivision continues this pattern without disrupting the prevailing urban form. The new lot configuration achieves compatible scale, street presence, and functionality, aligning with the existing development fabric of Berowra Road and surrounding streets.
· While the proposal will facilitate a new dwelling on the undersized lot, this future development will be subject to separate assessment and will need to demonstrate compliance with applicable planning and design controls. The lot has sufficient area, dimensions and access to support a dwelling of suitable scale without adverse impacts on neighbouring properties or local amenity. The modest variation in lot size does not compromise the ability to achieve appropriate outcomes in terms of setbacks, private open space, landscaping, and parking
· The subject site is located within the R2 Low Density Residential zone and is fully connected to essential services including water, sewer, stormwater, and electricity. The proposed subdivision facilitates a logical and efficient use of residential land by enabling a modest infill development that aligns with the zone’s intent to support low-density housing. The proposal also includes the construction of a new hardstand car space and driveway for the retained dwelling on proposed Lot A, ensuring that on-site parking is maintained in accordance with Council’s requirements. This integrated design ensures the continued functionality of both lots post-subdivision, demonstrating that the land can accommodate future development without placing additional burden on local infrastructure or streetscape character.
· The existing subdivision pattern along Berowra Road includes several lots well under 500 sqm, demonstrating that the proposed layout is not out of character. The subdivision at 19 Berowra Road, although approved under the former LEP, resulted in a lot of configuration that has contributed to the current local pattern. The proposed lot sizes maintain this rhythm and do not set an undesirable precedent.
· The subject site does not contain or adjoin any heritage items, riparian corridors, sensitive vegetation or mapped ecological constraints. The subdivision will not result in the loss of natural features or impact upon any environmental assets, and stormwater can be managed appropriately on both lots.
The written request fails to establish that the addition to housing variety in the area would arise from the variation to the minimum subdivision lot size standard, rather than being a benefit of the development as a whole.
While achieving general compliance with planning controls and the limited environmental impact justification are relevant, they do not in themselves justify the exceedance of the development standard. The written request makes no argument as to how these matters are tied to the variation of the standard or how these grounds are sufficient to warrant the extent of the variation sought.
In demonstrating the unreasonable and unnecessary test, the applicant provided insufficient environmental planning grounds with respect to the site and the surrounding constraints.
Local Planning Panels constituted under the Environmental Planning and Assessment Act 1979 exercise consent authority functions on behalf of a Council and are not delegates of Council. Therefore, Local Planning Panels may determine a development application notwithstanding, a numerical non-compliance in excess of 10%.
Accordingly, Council is not satisfied that Clause 4.6(3)(b) of the HLEP is adequately addressed and that the Panel, as the consent authority, may not rely upon the written request and therefore should refuse consent to the proposed development.
2.1.5 Heritage Conservation
Clause 5.10 of the HLEP sets out heritage conservation provisions for Hornsby Shire. The site does not include a heritage item and is not located in a heritage conservation area. Accordingly, no further assessment regarding heritage is necessary.
2.1.6 Earthworks
The objective of Clause 6.2 Earthworks of the HLEP is to ensure that earthworks, for which development consent is required will not have a detrimental impact on environmental functions and processes, neighbouring uses, cultural or heritage items or features of the surrounding land.
The proposed driveway to Lot 361 would be constructed at grade and would not require any substantial earthworks. Council is satisfied that the proposed development would not have a detrimental impact on environmental functions and processes, neighbouring uses, cultural or heritage items or features of the surrounding land.
2.2 State Environmental Planning Policy (Biodiversity and Conservation) 2021
The application has been assessed against the requirements of Chapters 2 and 6 of State Environmental Planning Policy (Biodiversity and Conservation) 2021.
2.2.1 Chapter 2 Vegetation in Non-Rural Areas
Chapter 2 of this policy aims to protect the biodiversity and amenity values of trees within non-rural areas of the state.
Part 2.3 of the policy states that a development control plan may make a declaration in any manner relating to species, size, location and presence of vegetation. Accordingly, Part 1.2.6.1 of the HDCP prescribes works that can be undertaken with or without consent to trees and objectives for tree preservation.
Section 2.5.3 of this report provides an assessment in accordance with Part 1.2.6.1 of the HDCP.
2.2.2 Chapter 6 Water Catchments
The site is located within the catchment of the Hawkesbury-Nepean River. The aim of this chapter is to protect the environment of the Hawkesbury-Nepean River system by ensuring that the impacts of development are considered in the regional context. This chapter contains general planning considerations and strategies requiring Council to consider the impacts of development on water quality, aquaculture, significant vegetation habitats, extraction, environmental heritage and scenic quality, recreation and tourism, and agriculture.
The plan addresses matters related to biodiversity, ecology and environment protection; public access to, and use of, foreshores and waterways; interrelationship of waterway and foreshore uses; foreshore and waterways scenic quality; maintenance, protection and enhancement of views and boat storage facilities.
Subject to the implementation of sediment and erosion control measures and stormwater management to protect water quality, the proposal would not impact on the water quality of the catchment and would comply with the requirements of chapter 6 of the Biodiversity and Conservation SEPP.
2.3 State Environmental Planning Policy (Resilience and Hazards) 2021
2.3.1 Chapter 4 Remediation of Land
Should the land be contaminated, Council must be satisfied that the land is suitable in a contaminated state for the proposed use. If the land requires remediation to be undertaken to make the land suitable for the proposed use, Council must be satisfied that the land will be remediated before the land is used for that purpose.
An examination of Council’s records and aerial photography has determined that the site has been historically used for residential purposes. Council is satisfied that the site is not contaminated and further assessment against chapter 4 of the Resilience and Hazards SEPP is not required.
2.4 Draft Environmental Planning Instrument
There are no current draft environmental planning instruments.
2.5 Section 3.42 Environmental Planning and Assessment Act 1979 - Purpose and Status of Development Control Plans
Section 3.42 of the Environmental Planning and Assessment Act 1979 states that a DCP provision will have no effect if it prevents or unreasonably restricts development that is otherwise permitted and complies with the development standards in relevant Local Environmental Plans and State Environmental Planning Policies.
The principal purpose of a development control plan is to provide guidance on the aims of any environmental planning instrument that applies to the development; facilitate development that is permissible under any such instrument; and achieve the objectives of land zones. The provisions contained in a DCP are not statutory requirements and are for guidance purposes only. Consent authorities have flexibility to consider innovative solutions when assessing development proposals, to assist achieve good planning outcomes.
2.6 Hornsby Development Control Plan 2024
The proposed development has been assessed having regard to the relevant desired outcomes and prescriptive requirements within the Hornsby Development Control Plan 2024 (HDCP). The following table sets out the proposal’s compliance with the prescriptive requirements of the Plan:
|
HDCP - Part 3.1 Dwelling Houses & Part 6 Subdivision |
|||
|
Control |
Proposal |
Requirement |
Complies |
|
Site Area |
962.7m2 |
N/A |
N/A |
|
Lot Area |
|
|
|
|
- Lot 361 |
525.4m2 |
500m2 |
Yes |
|
- Lot 362 |
437.3m2 |
500m2 |
No |
|
|
|
|
|
|
- Lot 361 |
20.115m |
12m |
Yes |
|
- Lot 362 |
21.74m |
12m |
Yes |
|
Indicative Building Envelope (Lot 362) |
221m2 |
min. 200m2 |
Yes |
|
Landscaping (Lot 362) |
>20% |
20% |
Yes |
|
Setbacks on Lot 362 (building envelope) |
|
|
|
|
- Front (Gray Street) |
6m |
900mm |
Yes |
|
- Side (north) |
900mm |
900mm |
Yes |
|
- Side (south) |
900mm |
900mm |
Yes |
|
- Rear (east) |
3m |
3m |
Yes |
|
Setbacks on Lot 361 (existing dwelling) |
|
|
|
|
- Front (Berowra Road) |
8.8m |
6m |
Yes |
|
- Secondary (Gray Street) |
3m |
3m |
Yes |
|
- Side (east) |
2.3m |
900mm |
Yes |
|
- Rear (north) |
3m |
3m |
Yes |
|
Open Space (Lot 362) |
>24m2 |
24m2 |
Yes |
|
Car Parking |
|
|
|
|
- Lot 361 (located within front setback on driveway) |
2 spaces |
min. 2 spaces |
No |
|
- Lot 362 (located within building envelope) |
2 spaces |
min. 2 spaces |
Yes |
As detailed in the above table, the proposed development generally complies with the prescriptive measures within the HDCP with the exception of the minimum subdivision lot size and car parking located forward of the front building line. A brief discussion on compliance with relevant performance requirements is provided below and Part 1.3 General Controls are addressed in Section 3 of the report.
2.6.1 Minimum Lot Size
2.6.2 Vehicle Access and Parking
The desired outcome of Part 3.1.7 Vehicle Access and Parking of the HDCP is to encourage “development that provides sufficient and convenient parking for residents with vehicular access that is simple, safe and direct.”
This is supported by the prescriptive measure which states that “car parking for dwelling houses should be provided behind the front building line.”
The application proposes a new vehicular crossover from Berowra Road to provide access to proposed Lot 361 with two uncovered car parking spaces proposed on a new driveway situated in front of the front building line. The provision of car parking spaces forward of the building, with a front setback of 3.45 metres, is not supported as it would not maintain the streetscape character.
The proposed parking area would have a maximum grade of 5% which is in accordance with AS2890. Should the application be recommended for approval, appropriate conditions of consent would be imposed with regard to boundary levels and driveway gradients.
The proposal does not meet the prescriptive measure of Part 3.1.7 Vehicle Access and Parking of the HDCP and not considered acceptable.
2.7 Section 7.11 Contributions Plan
Hornsby Shire Council Section 7.11 Contributions Plan 2020-2030 applies to the development as it would result in an additional lot in lieu of the existing lot. Should the application be approved, the requirement for a monetary Section 7.11 contribution would be recommended as a condition of consent.
2.8 Housing and Productivity Contribution
The Housing and Productivity Contribution applies to the development as it would result in an additional lot in lieu of the existing lots. Should the application be approved, the requirement for a monetary Housing and Productivity contribution would be recommended as a condition of consent.
2.9 Planning Agreements
Section 4.15 (1) (a)(ii) of the Act requires Council to consider the provisions of any planning agreement. The development does not include a Planning Agreement.
2.10 Environmental Planning and Assessment Regulation 2021
Section 61 of the Environmental Planning and Assessment Regulation 2021 (the Regs) contains matters that must be taken into consideration by a consent authority in determining a development application, with the following matters been relevant to the proposal:
· If demolition of a building proposed - provisions of AS2601
Section 62 (consideration of fire safety) and Section 64 (consent authority may require upgrade of buildings) of the Regs are not relevant to the proposal.
Section 63 (considerations for erection of temporary structures) of the Regs is not relevant to the proposal.
These provisions of the Regs have been considered and appropriate conditions of consent (where necessary) can be imposed if consent is granted.
3. ENVIRONMENTAL IMPACTS
Section 4.15(1)(b) of the Act requires Council to consider “the likely impacts of that development, including environmental impacts on both the natural and built environments, and social and economic impacts in the locality”.
3.1 Natural Environment
Section 4.15(1)(b) of the Act requires Council to consider “the likely impacts of that development, including environmental impacts on both the natural and built environments, and social and economic impacts in the locality.”
3.1.1 Tree Preservation
Part 1.2.6.1 Tree Preservation of the HDCP sets out the requirements for tree protection, including which trees require Council approval prior to removal.
The application includes an Arboricultural Impact Assessment (AIA) report prepared by Arbor Express dated 14 May 2025 which identifies 23 trees within the vicinity of the proposed development.
The proposed development does not involve the removal of any trees on the subject site or adjacent sites.
It is noted that the proposed indicative building envelope encroaches into the Nominal Root Zone of Tree No. 18, a Spotted Gum with a high retention value. The encroachment is less than 20% (moderate) and any future dwelling would be subject to appropriate tree sensitive construction techniques to ensure the tree can be retained in a healthy condition. A Complying Development Certificate would restrict any future dwelling to be located a minimum of 3 metres from each protected tree on the lot, which would protect the Structural Root Zone of Tree No. 18.
Should the application be approved the proposal meets the prescriptive measures of Part 1.2.6.1 Tree Preservation of the HDCP and is considered acceptable, subject to conditions.
3.1.2 Stormwater Management
The desired outcomes of Part 1.3.1.2 Stormwater Management of the HDCP are “development that protects waterways from erosion, pollution and sedimentation, and maintains or improves water quality and aquatic habitats” and “water management systems that minimise the effects of flooding and maintains natural environmental flows”.
The development application includes an existing stormwater and drainage plan prepared by ApproveAll, dated 23 June 2025 Rev E. This plan shows the existing roof on proposed Lot 361 connecting to the existing system and draining to Gray Street. The future development on Lot 362 can be directed to Gray Street and would be subject to appropriate conditions of consent regarding on-site detention systems and stormwater management if the application is recommended for approval.
If the application were to be approved, appropriate conditions can be imposed to ensure the proposed development would achieve the desired outcomes of Part 1.3.1.2 Stormwater Management of the HDCP and is acceptable in this regard.
3.2 Built Environment
The application is considered to have a negative impact on the surrounding built environment as the proposal would result in an under-sized allotment. Further, the provision of car parking spaces forward of the building line on proposed Lot 361 would have an unacceptable impact on the streetscape.
3.3 Social Impacts
The residential development would result in a minor positive social impact by providing an additional dwelling house in the locality. Notwithstanding, Council considers that the proposal would have a detrimental social impact as approval would create an undesirable planning precedent for undersized subdivision.
3.4 Economic Impacts
The proposal would have a minor positive impact on the local economy in conjunction with other new low density residential development in the locality by generating an increase in demand for local services.
4. SITE SUITABILITY
Section 4.15(1)(c) of the Act requires Council to consider “the suitability of the site for the development”.
Possible examples
The subject site has not been identified as bushfire prone or flood prone land. The site is considered to be capable of accommodating the proposed development. The scale of the proposed development is consistent with the capability of the site and is considered acceptable.
5. PUBLIC PARTICIPATION
Section 4.15(1)(d) of the Act requires Council to consider “any submissions made in accordance with this Act”.
5.1 Community Consultation
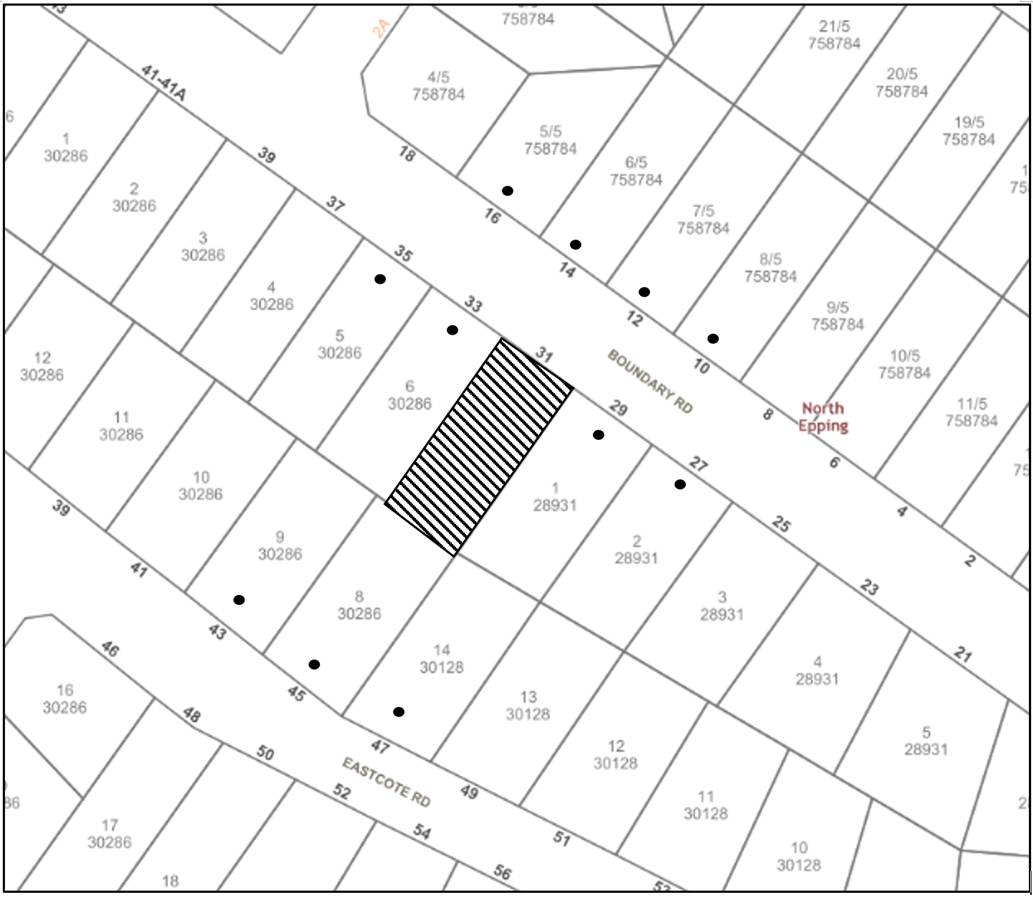
The proposed development was placed on public exhibition and was notified to adjoining and nearby landowners between 27 July 2025 and 10 August 2025 in accordance with the Hornsby Community Engagement Plan. During this period, Council received one submission. The map below illustrates the location of those nearby landowners who made a submission that are in close proximity to the development site.

|
NOTIFICATION PLAN |
|||
|
• PROPERTIES NOTIFIED |
X SUBMISSIONS RECEIVED |
|
|
One submission objected to the development, generally on the grounds that the development would result in an undersized lot.
5.1.1 Minimum subdivision lot size
The concerns regarding the minimum subdivision lot size have been addressed in detail in Section 2.1.2 and 2.1.4 of this report.
5.2 Public Agencies
The development application was not referred to any Public Agencies for comment.
6. THE PUBLIC INTEREST
Section 4.15(1)(e) of the Act requires Council to consider “the public interest”.
The public interest is an overarching requirement, which includes the consideration of the matters discussed in this report. Implicit to the public interest is the achievement of future built outcomes adequately responding to and respecting the future desired outcomes expressed in environmental planning instruments and development control plans.
The application is not considered to have satisfactorily addressed Council’s criteria and would provide a development outcome that, on balance, would not result in a positive impact for the community. Accordingly, it is considered that approval of the proposed development would not be in the public interest.
CONCLUSION
The application proposes the Torrens title subdivision of one lot into two.
The development fails to meet the desired outcomes of Council’s planning controls and is unsatisfactory having regard to the matters for consideration under Section 4.15 of the Environmental Planning and Assessment Act 1979.
Council received one submission during the public notification period. The matters raised have been addressed in the body of the report.
Having regard to the circumstances of the case, refusal of the application is recommended.
The reasons for this decision are:
· The proposed development does not comply with the requirements of the relevant environmental planning instruments and the Hornsby Development Control Plan 2024.
· The request under Clause 4.6 of Hornsby Local Environmental Plan 2013 to contravene the minimum subdivision lot size development standard is not well founded. Strict compliance with the development standard is considered reasonable and necessary in the circumstances of the case and insufficient environmental planning grounds have been submitted to justify the contravention to the development standard
Note: At the time of the completion of this planning report, no persons have made a Political Donations Disclosure Statement pursuant to Section 10.4 of the Environmental Planning and Assessment Act 1979 in respect of the subject planning application.
|
Cassandra Williams Major Development Manager - Development Assessments Planning and Compliance Division |
Rod Pickles Manager - Development Assessments Planning and Compliance Division |
|
Clause 4.6 Written Request |
|
|
|
|
Subdivision Plan |
|
|
|
|
Architectural Plans |
|
|
File Reference: DA/825/2025
Document Number: D09199231
1. The proposed development is unsatisfactory in respect to Section 4.15(1)(a)(i) of the Environmental Planning and Assessment Act 1979 with regard to the Hornsby Local Environmental Plan 2013 as follows:
1.1 The proposal would result in an undersized allotment and is unacceptable with respect to Clause 4.1 ‘Minimum Subdivision Lot Size’ of the Hornsby Local Environmental Plan 2013.
1.2 The proposal is unacceptable with regard to Clause 4.6 ‘Exceptions to development standards’ of the Hornsby Local Environmental Plan 2013 as the submitted justification to contravene the ‘Minimum Subdivision Lot Size’ development standard is not well founded.
2. In accordance with Section 4.15(1)(a)(iii) of the Environmental Planning and Assessment Act 1979, the proposal does not comply with the desired outcome and the prescriptive measures of Hornsby Development Control Plan 2024 (HDCP) as follows:
2.1 The proposal does not comply with the ‘Lot Size’ prescriptive measure within Part 6.2.1(a) of the HDCP as proposed Lot 362 would have an area of 437.3m2.
2.2 The proposal does not comply with the Vehicle Access and Parking prescriptive measure within Part 3.1.7(a) of the HDCP as the proposed car parking spaces on proposed Lot 361 would be provided in front of the front building line.
3. In accordance with Section 4.15(1)(b) and (e) of the Environmental Planning and Assessment Act 1979, it is considered that the proposed development would not be in the public interest.
- END OF REASONS FOR REFUSAL -
LPP Report No. LPP23/25
Local Planning Panel
Date of Meeting: 24/09/2025
2 DA/478/2024/A - SECTION 4.55(2) APPLICATION TO MODIFY APPROVED ALTERATIONS AND ADDITIONS TO DWELLING - 31 BOUNDARY ROAD, NORTH EPPING
|
DA No: |
DA/478/2024/A (PAN-548807 - Lodged 10 July 2025) |
|
Description: |
Section 4.55(2) application to modify approved alterations and additions to a dwelling house to increase the height |
|
Property: |
Lot 7 DP 30286, No. 31 Boundary Road, North Epping |
|
Applicant: |
Sophie Scott |
|
Owner: |
Katrina Lorraine Barnett & Graeme Robert Harding |
|
Estimated Value: |
$198,000 (Unchanged) |
|
Ward: |
C Ward |
|
Clause 4.6 Request: |
Clause 4.3 Height of Buildings |
|
Submissions: |
Nil |
|
LPP Criteria: |
Proposal contravenes a development standard by more than 10% |
|
Author: |
Jacqui Turner, Town Planner |
|
COI Declaration: |
No Council staff involved in the assessment of this application have declared a Conflict of Interest. |
|
THAT the Hornsby Local Planning Panel, exercising the functions of Council as the consent authority, pursuant to Section 4.55(2) of the Environmental Planning and Assessment Act 1979, amend Development Application No. DA/478/2024 for alterations and additions to a dwelling house at Lot 7 DP 30286, No. 31 Boundary Road, North Epping as detailed in Schedule 1 of LPP Report No. LPP23/25. |
executive summary
· The Section 4.55(2) application seeks to modify the approved development to correct drafting errors on the original architectural plans and proposes to add a levelling plate between the ground floor ceiling and the approved first floor addition.
· The modified proposal does not comply with Clause 4.3 Height of Buildings of the Hornsby Local Environmental Plan 2013 (HLEP). The applicant has submitted a precautionary Clause 4.6 written request to contravene the maximum 8.5m building height development standard which is considered to be well founded and is supported.
· The Section 4.55(2) application is required to be determined by the Hornsby Local Planning Panel as the modified development contravenes the Height of buildings development standard under Clause 4.3 of the HLEP by more than 10%.
· No submissions have been received in respect of the modification application.
· It is recommended that the application be approved.
BACKGROUND
On 2 October 2024, the Hornsby Local Planning Panel approved Development Application No. DA/478/2024 for alterations and additions to a dwelling house, comprising of a first floor addition and reconfiguration of the ground floor.
On 3 June 2025, Construction Certificate No. 396/25/01 (Council Ref: CC/242/2025) was issued by a Private Certifier for the approved development.
On 10 July 2025, the subject application No. DA/478/2024/A was lodged to modify the approved alterations and additions to a dwelling house.
Between 5 - 19 August 2025 (inclusive), the application was placed on public notification and no submissions have been received.
On 12 August 2025, Council sent a request for additional information to the applicant requesting a statement from a structural engineer to explain the reasoning for the increase in height of the slab between the ground and first floors (300mm to 450mm - addition of 150mm). Additional section plans demonstrating the maximum proposed height and extent of the portion of the roof that would be over height was also requested.
On 10 September 2025, the applicant provided the requested information.
SITE
The 701.7 m2 site is located on the south western side of Boundary Road, North Epping and contains a two storey dwelling house and swimming pool.
The site experiences an overall gentle fall of 2.9 m (average gradient 7%) towards the rear boundary.
The site is bushfire prone, and an overland flow path runs through the rear south western corner of the site.
The site does not contain any easements or restrictions.
The site does not contain a heritage item, is not within the vicinity of a heritage item and is not within a heritage conservation area.
THE APPROVED DEVELOPMENT
On 2 October 2024, the Hornsby Local Planning Panel approved DA/478/2024 for alterations and additions to a dwelling house, comprising:
· Demolition of the existing walls, doors, windows, steps and roof.
· Reconfiguration of the ground floor to comprise an entry, living room, 3 bedrooms, a bathroom, family room, meals, kitchen, pantry and alfresco extension.
· The construction of a first floor addition that would comprise a master bedroom with ensuite and walk in robe; and a bedroom.
THE MODIFICATION
The Section 4.55(2) application seeks to modify the approved development to correct drafting errors with the original architectural plans and proposes to add a levelling plate between the ground floor ceiling and the approved first floor addition.
The modification comprises the following amendments:
· Correction of the existing ground floor ceiling height, with an increase of 290mm (RL 74.905 to RL 75.195), resulting in a change of floor to ceiling height from 2.51m to 2.8m.
· Correction of the existing basement floor level, with a reduction of 285mm (RL 69.695 to RL 69.98), resulting in a change of floor to ceiling height from 2.4m to 2.115m.
· The correction to the existing floor to ceiling levels would increase the approved overall building height under DA/478/2024 by 5mm.
· Increase of the height between ground and first floor from 300mm to 450mm due to the requirement of a leveling plate over the existing ground floor for the first floor addition, adding a further 150mm to the overall building height.
The modification proposes an overall increase of 155mm from the approved building height of 9.964m (17.22% variation) to the proposed height of 10.119m (19.05% variation).
No trees would be removed or impacted by the modified development.
ASSESSMENT
The development application has been assessed having regard to the Greater Sydney Region Plan - A Metropolis of Three Cities, the North District Plan and the matters for consideration prescribed under Section 4.15 of the Environmental Planning and Assessment Act 1979 (the Act). The following issues have been identified for further consideration.
1. STRATEGIC CONTEXT
1.1 Greater Sydney Region Plan - A Metropolis of Three Cities and North District Plan
The Greater Sydney Region Plan - A Metropolis of Three Cities has been prepared by the NSW State Government to guide land use planning decisions over the next 40 years (to 2056). The Plan sets a strategy and actions for accommodating Sydney’s future population growth and identifies dwelling targets to ensure supply meets demand. The Plan also identifies that the most suitable areas for new housing are in locations close to jobs, public transport, community facilities and services.
The NSW Government will use the subregional planning process to define objectives and set goals for job creation, housing supply and choice in each subregion. Hornsby Shire has been grouped with Hunters Hill, Ku-ring-gai, Lane Cove, Mosman, North Sydney, Ryde, Northern Beaches and Willoughby to form the North District. The North District Plan includes priorities and actions for Northern District over the next 20 years.
The identified challenge for Hornsby Shire will be to provide an additional 4,350 dwellings by 2021 with further strategic supply targets to be identified to deliver 97,000 additional dwellings in the North District by 2036.
The proposed development would be consistent with the Greater Sydney Region Plan - A Metropolis of Three Cities and the North District Plan.
2. STATUTORY CONTROLS
Section 4.15(1)(a) requires Council to consider “any relevant environmental planning instruments, draft environmental planning instruments, development control plans, planning agreements and regulations”.
2.1 Environmental Planning and Assessment Act 1979 - Section 4.55(2)
The proposal constitutes a modification under Section 4.55(2) of the Environmental Planning and Assessment Act 1979 (the Act). Council pursuant to Section 4.55(2), may consider an application to amend development consent provided that:
(a) it is satisfied that the development to which the consent as modified relates is substantially the same development as the development for which the consent was originally granted and before that consent as originally granted was modified (if any at all), and
(b) it has consulted with the relevant Minister, public authority or approval body (within the meaning of Division 4.8) in respect of a condition imposed as a requirement of a concurrence to the consent or in accordance with the general terms of an approval proposed to be granted by the approval body and that Minister, authority or body has not, within 21 days after being consulted, objected to the modification of that consent, and
(c) it has notified the application in accordance with–
(i) the regulations, if the regulations so require, or
(ii) a development control plan, if the consent authority is a council that has made a development control plan that requires the notification or advertising of applications for modification of a development consent, and
(d) it has considered any submissions made concerning the proposed modification within the period prescribed by the regulations or provided by the development control plan, as the case may be.
Subsections (1) and (1A) do not apply to such a modification.
With respect to (a), it is considered that the proposal as amended is substantially the same as the development originally approved.
Section 4.55(2)(b) is not applicable as the development is not an integrated development nor State significant development.
With respect to (c) and (d), the amended application was notified, and nil submissions have been received.
2.2 Environmental Planning and Assessment Act 1979 - Section 4.55(3)
Section 4.55(3) of the Act requires Council as the consent authority to “take into consideration such of the matters referred to in Section 4.15(1) as are of relevance to the development the subject of the application. The consent authority must also take into consideration the reasons given by the consent authority for the grant of the consent that is sought to be modified”.
With respect to an assessment of the matters referred to in Section 4.15(1) of the Act, these matters are addressed within the body of this report. With respect to the reasons given by the consent authority for the grant of the consent that is sought to modified, the reasons provided in granting consent to DA/478/2024 are as follows:
· The Panel has considered the applicant’s written request for Clauses 4.6(2) and (3) of the Hornsby Local Environmental Plan 2013 prepared by Russell Scott dated 6 September 2024 received by Council on 9 September 2024 to contravene the Height of Buildings development standard in Clause 4.3 of the Hornsby Local Environmental Plan 2013.
· In accordance with Clause 4.6(4) of the Hornsby Local Environmental Plan 2013, the Panel is satisfied that the applicant has demonstrated that:
o the applicant’s written request has adequately addressed the matters required to be demonstrated by clause 4.6(3) of the Hornsby Local Environmental Plan 2013 that:
i. compliance with the development standards is unreasonable or unnecessary in the circumstances of the case, and
ii. there are sufficient environmental planning grounds to justify contravening the development standards.
· The proposed development generally complies with the requirements of the relevant environmental planning instruments and the Hornsby Development Control Plan 2024.
· The proposed development does not create unreasonable environmental impacts to adjoining development with regard to visual bulk, solar access, amenity or privacy, subject to the recommended conditions of consent.
The modification proposes a 155mm increase in height compared to the approved development height of 9.964m (17.22% contravention) to the proposed new height of 10.119m (19.05% contravention). The minor increase in height is considered acceptable noting the development is for a first floor addition and would not create any adverse environmental or amenity impacts to neighbouring properties or the streetscape. Therefore, the contravention to Clause 4.3 of the HLEP is supported in this instance.
Due to the minor additional building height of 155mm to the original approved building height, the contravention to the building height development standard is supported for the same reasons as the original approval being:
· Reasonable and in keeping with the existing home character
· Only a portion of the roof would be non-compliant with the maximum building height
· Would not create any adverse environmental or amenity impacts
· Due to the slope of the land, with the existing basement level being positioned under the existing residence
· Designed with a roof pitch that would be in character; and if cut or reduced would create a poorly articulated residential addition
Furthermore, Council noted that the approved application proposed a low pitch roof design to minimise the height of the development.
The proposed modification would continue to meet the desired outcomes of Council’s planning controls, the matters for consideration under Section 4.15 of the Act and the Panel reasons for granting the original consent.
2.3 Hornsby Local Environmental Plan 2013
The proposed development has been assessed having regard to the provisions of the Hornsby Local Environmental Plan 2013 (HLEP).
2.3.1 Zoning of Land and Permissibility
The subject land is zoned R2 Low Density Residential under the HLEP. The objectives of the R2 zone are:
· To provide for the housing needs of the community within a low density residential environment.
· To enable other land uses that provide facilities or services to meet the day to day needs of residents.
The proposed development is defined as ‘dwelling house’ and is permissible in the R2 zone with Council’s consent.
2.3.2 Height of Buildings
Clause 4.3 of the HLEP provides that the height of a building on any land should not exceed the maximum height shown for the land on the Height of Buildings Map. The maximum permissible height for the subject site is 8.5m. The modified proposal has a maximum height of 10.119m and does not comply with this provision.
2.3.3 Exceptions to Development Standards
2.3.3.1 Application of Clause 4.6 to Section 4.55 Modifications
A Section 4.55 modification application can be approved by a consent authority without a Clause 4.6 variation even though it would contravene a development standard. The relevant judgments (originating with North Sydney Council v Michael Standley & Associates Pty Ltd [1998] NSWSC 163) say that section 96 (now S4.55) is a ‘free-standing provision’, meaning that ‘a modification application may be approved notwithstanding the development would be in breach of an applicable development standard were it the subject of an original development application’. What this means is that it is Section 4.55 itself which authorises the development to be approved notwithstanding any contravention of a development standard. Section 4.55 is a broad power to approve, subject to its own stand-alone tests (such as the ‘substantially the same’ test, and a requirement to consider all relevant S4.15 matters). Section 4.55 does not rely upon having any Clause 4.6 contravention to enliven that power to approve.
In Gann v Sutherland Shire Council (2008), the Council argued that it would be illogical if a developer could obtain a development consent for a compliant development and then avoid the need for any a Clause 4.6 contravention by lodging a S4.55 modification to increase the building’s bulk to breach the applicable development standard. The Court however cautioned that:
“This does not mean that development standards count for nothing. Section 96(3) still requires the consent authority to take into consideration the matters referred to in s79C [now s4.15], which in turn include the provision of any environmental planning instrument. That is, any development standard in an environmental planning instrument must be taken into consideration by the consent authority, but the absolute prohibition against the carrying out of development otherwise than in accordance with the instrument in s76A (1) does not apply.”
Section 96 (now S4.55) itself has not been amended since these decisions were given. It still authorises modification-approval to be given even where there is a breach of development standards. As such, Clause 4.6 is not applicable to a Section 4.55 modification - they only arise at DA stage. Indeed, the Courts have stated that Clause 4.6 cannot ever be used at section S4.55 stage as it only applies ‘where a development application is made’, not when a modification application is made.
Whilst a formal Clause 4.6 written request is not required for the subject Section 4.55 application, the consent authority is still required to assess the merit of any proposed contravention of a development standard, namely:
· Whether compliance with the development standard is unreasonable or unnecessary in the circumstances of the case.
· Whether there are sufficient environmental planning grounds to justify contravening the development standard.
· Whether the proposed development will be in the public interest.
The maximum height of the approved development is 9.964m, which represented a departure of 17.22% from the development standard.
The Section 4.55(2) application proposes to increase the approved building height by 155mm to a proposed maximum height of 10.199m, which represents a departure of 19.05% from the development standard.
The applicant has provided the following justification for the modification to the height of the development:
1. The existing dwelling is comprised of a front element consisting of the original bedrooms, bathroom, living room and kitchen with a floor to ceiling height measuring 2.8m. There is previous additions and alterations added to the rear of the original dwelling, consisting of a new bedroom and living room. This area has a floor to ceiling height of 2.4m as indicated on the original plans. The approved DA seeks to add first floor accommodation over the front/original component of the existing dwelling with the 2.8m ceiling height, and a new open kitchen/meals/family room to the rear with a raked ceiling. As such, we request the floor to ceiling levels be corrected as indicated. Further to this, the builder has observed that the floor to ceiling of the basement garage area was not as indicated and we request this be corrected as indicated.
2. The builder intends to use a leveling plate over the existing ground floor ceiling construction, increasing the ceiling to floor allowance between the existing ground floor and proposed first floor addition from 300mm to 450mm, and adding 150mm to the overall building height.
3. In reference to the Structural Engineers letter dated 9th September, it has been recommended that the best option to overcome issues with the existing uneven wall frames and ceiling joists was to place blocking between the existing ceiling joists in order to increase the strength of the lower floor top plate and then place the new joist between the ceiling joist. The new floor joists will increase thickness between ceiling and floor by 150mm to the proposed 450mm. As such, we are seeking a variation of the development standard
4. Factoring in the FFL/ceiling height corrections and addition of the 150mm leveling plate, the overall height of the building is to increase from 9.964m (approved DA) to 10.119m. The approved floor to ceiling levels of the proposed first floor addition will remain unchanged and floor to ceiling heights of the basement and ground floor of the dwelling are to remain as existing.
It should be noted that the application continues to show a pier and beam slab under the existing basement with a height of 400mm; and a floor to ceiling height of 2.4m for the first floor addition being compliant with Building Code of Australia (BCA) requirements.
The proposed height is considered acceptable and would not create any adverse environmental or amenity impacts to neighbouring properties or the streetscape. Therefore, the contravention to Clause 4.3 of the HLEP is supported in this instance.
Due to the minor increase of 155mm to the original approved building height, the contravention to the building height development standard is supported for the same reasons as the original approval being:
· Reasonable and in keeping with the existing home character
· Only a portion of the roof would be non-compliant with the maximum building height
· Would not create any adverse environmental or amenity impacts
· Due to the slope of the land, with the existing basement level being positioned under the existing residence
· Designed with a roof pitch that would be in character; and if cut or reduced would create a poorly articulated residential addition
Furthermore, Council noted that the approved application proposed a low pitch roof design to minimise the height of the development.
2.3.4 Heritage Conservation
Clause 5.10 of the HLEP sets out heritage conservation provisions for Hornsby Shire. The site does not include a heritage item and is not located in a heritage conservation area. Accordingly, no further assessment regarding heritage is necessary.
2.3.5 Flooding
Clause 5.21 Flood Planning of the HLEP applies to the proposal as Council’s 2021 Overland Flow Study identified that an overland flow path runs through the south western corner of the site. Clause 5.21(2) states:
(2) Development consent must not be granted to development on land the consent authority considers to be within the flood planning area unless the consent authority is satisfied the development—
(a) is compatible with the flood hazard of the land, and
(b) will not adversely affect flood behaviour in a way that results in detrimental increases in the potential flood affectation of other development or properties, and
(c) will not adversely affect the safe occupation and efficient evacuation of people or exceed the capacity of existing evacuation routes for the surrounding area in the event of a flood, and
(d) incorporates appropriate measures to manage risk to life from flood, and
(e) will not significantly adversely affect the environment or cause avoidable erosion, siltation, destruction of riparian vegetation or a reduction in the stability of river banks or watercourses.
Further, to Clause 5.21(2) of the HLEP, prescriptive measure (b) of Part 1.3.3.2 of the Hornsby Development Control Plan 2024 (HDCP) states: “the overland flow path should not be built upon and should have minimal planting. Development is required to demonstrate that any overland flow is maintained for 1 in 100 year average recurrence interval (ARI) flood”.
The subject site is not identified as a flood control lot. However, Council’s records indicate that there is an overland flow path (1% AEP Flood Extent) which drains through the south western corner of the site. No development is proposed within this area. Accordingly, no further assessment regarding flooding is necessary and the Panel as the consent authority can be satisfied that Clause 5.21 of the HLEP has been addressed.
2.3.6 Earthworks
Clause 6.2 of the HLEP states that consent is required for proposed earthworks on site. Before granting consent for earthworks, Council is required to assess the impacts of the works on adjoining properties, drainage patterns and soil stability of the locality.
The proposed first floor addition does not require any earthworks therefore no further assessment under Clause 6.2 is necessary.
2.4 State Environmental Planning Policies
The assessment of the original proposal has taken into consideration all the relevant State Environmental Planning Policies. The proposed modification would not alter the original assessment of the application against the following State Environmental Planning Policies:
· State Environmental Planning Policy (Biodiversity and Conservation) 2021
· State Environmental Planning Policy (Resilience and Hazards) 2021
· State Environmental Planning Policy (Sustainable Buildings) 2022
2.5 Draft Environmental Planning Instrument
There are no current draft environmental planning instruments.
2.6 Section 3.42 Environmental Planning and Assessment Act 1979 - Purpose and Status of Development Control Plans
Section 3.42 of the Environmental Planning and Assessment Act 1979 states that a DCP provision will have no effect if it prevents or unreasonably restricts development that is otherwise permitted and complies with the development standards in relevant Local Environmental Plans and State Environmental Planning Policies.
The principal purpose of a development control plan is to provide guidance on the aims of any environmental planning instrument that applies to the development; facilitate development that is permissible under any such instrument; and achieve the objectives of land zones. The provisions contained in a DCP are not statutory requirements and are for guidance purposes only. Consent authorities have flexibility to consider innovative solutions when assessing development proposals, to assist achieve good planning outcomes.
2.7 Hornsby Development Control Plan 2024
The proposed development has been assessed having regard to the relevant desired outcomes and prescriptive requirements within the Hornsby Development Control Plan 2024 (HDCP). The following table sets out the modified proposal’s compliance with the prescriptive requirements of the Plan:
|
HDCP - Part 3.1 Dwelling Houses |
||||
|
Control |
Approved |
Proposed |
Requirement |
Complies |
|
Site Area |
701.7m2 |
Unchanged |
N/A |
N/A |
|
Building Height |
9.964m |
10.119m |
8.5m |
No |
|
No. storeys |
3 |
Unchanged |
max. 2 + attic |
Yes |
|
Site Coverage |
34% |
Unchanged |
max. 50% |
Yes |
|
Floor Area |
418m2 |
Unchanged |
380m2 |
Yes |
|
Setbacks |
|
|
|
|
|
- Front |
7.6m |
Unchanged |
6m |
Yes |
|
- Side |
|
|
|
|
|
1. Ground floor |
2.4m |
Unchanged |
900mm |
Yes |
|
2. First floor |
3.1m |
Unchanged |
1.5m |
Yes |
|
- Side |
|
|
|
|
|
3. Ground floor |
1.5m |
Unchanged |
900mm |
Yes |
|
4. First floor |
3.4m |
Unchanged |
1.5m |
Yes |
|
- Rear |
|
|
|
|
|
5. Ground floor |
13.6m |
Unchanged |
3m |
Yes |
|
First floor |
24m |
Unchanged |
8m |
Yes |
|
Landscaped Area |
33% |
Unchanged |
30% |
Yes |
|
Private Open Space |
|
|
|
|
|
- minimum area |
> 24m2 |
Unchanged |
24m2 |
Yes |
|
- minimum dimension |
> 3m |
Unchanged |
3m |
Yes |
|
Car Parking |
2 spaces |
Unchanged |
2 spaces |
Yes |
As detailed in the above table, the proposed modifications comply with the prescriptive measures within the HDCP, with the exception of maximum building height. A brief discussion on compliance with relevant performance requirements is provided below.
2.7.1 Scale - Height
The proposed building would not comply with the maximum permissible height limit of 8.5m applicable to the site. As discussed in Section 2.3.2 Height of Buildings of this report, the applicant has made a submission in accordance with Clause 4.6 ‘Exceptions to development standards’ of the HLEP to contravene Clause 4.3 ‘Height of Buildings’. The submission is considered well founded and is supported.
2.7.2 Sunlight Access
The desired outcomes of Part 3.1.5 Sunlight Access of the HDCP are to encourage “dwelling houses designed to provide solar access to open space areas’ and ‘development designed to provide reasonable sunlight to adjacent properties.”
Within this context, Part 3.1.5 outlines the following prescriptive measures:
a) On 22 June, 50 percent of the required principle private open space should receive 3 hours of unobstructed sunlight access between 9 am and 3 pm.
b) On 22 June, 50 percent of the required principle private open space on any adjoining property should receive 3 hours of unobstructed sunlight access between 9am and 3pm.
The modified proposal is supported by shadow diagrams at 9am, 12pm and 3pm on the day of the winter solstice. The diagrams demonstrate that at 3pm the minor 155mm roof increase would create a minor amount of additional shadowing to the side elevation of the eastern adjoining property at No. 29 Boundary Road. Notwithstanding, over 50% of the private open space of this neighbouring property will receive at least 3 hours of unobstructed sunlight access between 9am and 3pm.
The private open space to the rear of the subject site will maintain a minimum of 50% sunlight access between 12pm and 3pm.
The modified proposal satisfies Part 3.1.5 Sunlight Access of the HDCP and is considered acceptable.
2.7.3 Privacy
The desired outcome of Part 3.1.6 Privacy of the HDCP is to encourage “development that is designed to provide reasonable privacy to adjacent properties”.
This is supported by prescriptive measures that states:
c) “A deck, balcony, terrace or the like should be located within 600mm of existing ground level where possible to minimise potential visual and acoustic privacy conflicts.
d) Decks and the like that need to be located more than 600mm above existing ground should not face a window of another habitable room, balcony or private open space of another dwelling located within 9 metres of the proposed deck unless appropriately screened.”
The approved development involved an alfresco that would be located 2.4m above the existing ground level which would not comply with the prescriptive measures. To address this concern a condition was recommended requiring a 1.5m high privacy screen located on the east and west elevation of the alfresco.
The modified proposal shows that this condition has been satisfied accordingly Schedule 1 includes the deletion of condition No. 3 Amendment of Plans.
The modified proposal meets the desired outcomes of Part 3.1.6 Privacy of the HDCP and is considered acceptable.
2.8 Section 7.12 Contributions Plans
Hornsby Shire Council Section 7.12 Contributions Plan 2019-2029 applies to the development as the estimated costs of works is greater than $100,000. The original consent included a condition of consent requiring the payment of a contribution in accordance with the Plan.
2.9 Planning Agreements
Section 4.15 (1) (a)(ii) of the Act requires Council to consider the provisions of any planning agreement. The development does not include a Planning Agreement.
2.10 Environmental Planning and Assessment Regulation 2021
Section 61 of the Environmental Planning and Assessment Regulation 2021 (the Regs) contains matters that must be taken into consideration by a consent authority in determining a development application, with the following matters being relevant to the proposal:
· If demolition of a building proposed - provisions of AS2601
Section 62 (consideration of fire safety) and Section 64 (consent authority may require upgrade of buildings) of the Regs are relevant to the proposal.
Section 63 (considerations for erection of temporary structures) of the Regs are not relevant to the proposal.
These provisions of the Regs have been considered in the original assessment and the proposed modification and are addressed in the recommended draft conditions (where necessary).
3. ENVIRONMENTAL IMPACTS
Section 4.15(1)(b) of the Act requires Council to consider “the likely impacts of that development, including environmental impacts on both the natural and built environments, and social and economic impacts in the locality”.
3.1 Natural Environment
3.1.1 Tree and Vegetation Preservation
The modified development would not necessitate the removal of any trees from the site.
3.2 Built Environment
3.2.1 Built Form
The proposal would be consistent with residential development within the locality.
3.2.2 Traffic
The proposal is for a single dwelling, and it would not intensify traffic generation.
3.3 Social Impacts
The alterations and additions to a dwelling house would result in a positive social contribution by providing for the housing needs of the community within a low-density residential environment.
3.4 Economic Impacts
The alterations and additions to a dwelling house would not have any detrimental economic impact upon the locality.
4. SITE SUITABILITY
Section 4.15(1)(c) of the Act requires Council to consider “the suitability of the site for the development”.
The site is considered to be capable of accommodating the proposed development. The scale of the proposed development is consistent with the capability of the site and is considered acceptable.
4.1 Bushfire Risk
The desired outcomes of Part 1.3.3.1 Bushfire of the HDCP are to encourage “development that is located and designed to minimise the risk to life and property from bushfires” and “development that balances the conservation of native vegetation and bushfire protection.”
This is supported by the prescriptive measure that states “development on land identified as bushfire prone on Council’s Bushfire Prone Land Map should address the bush fire protection measures in the publication Planning for Bushfire Protection (2019).”
The rear portion of the site is identified as bushfire prone land, situated within the vegetation buffer zone.
The proposed modifications are minor in nature and would not alter the original assessment of the application against Part 1.3.3.1 Bushfire of the HDCP.
A bushfire self-assessment was submitted with the original proposal which identified that the site would have a bushfire attack level (BAL) rating of BAL-12.5. Council concurred with the findings of the self-assessment BAL rating.
Conditions of consent were recommended requiring construction standards and asset protection zone requirements in accordance with Planning for Bushfire Protection 2019.
Subject to the existing conditions, the Panel can be satisfied that the proposed development complies with Section 4.14(1)(a) of the EP&A Act, that the modified development continues to conform to the specifications and requirements of the document entitled Planning for Bush Fire Protection 2019 prepared by the NSW Rural Fire Service.
5. PUBLIC PARTICIPATION
Section 4.15(1)(d) of the Act requires Council to consider “any submissions made in accordance with this Act”.
5.1 Community Consultation
The modified development was placed on public exhibition and was notified to adjoining and nearby landowners between 5 August 2025 and 19 August 2025 in accordance with the Hornsby Community Engagement Plan. During this period, Council received nil submissions. The map below illustrates the location of those nearby landowners who were notified of the development.

|
NOTIFICATION PLAN |
|||
|
• PROPERTIES NOTIFIED |
X SUBMISSIONS RECEIVED |
|
|
5.2 Public Agencies
The development application was not referred to any Public Agencies for comment.
6. THE PUBLIC INTEREST
Section 4.15(1)(e) of the Act requires Council to consider “the public interest”.
The public interest is an overarching requirement, which includes the consideration of the matters discussed in this report. Implicit to the public interest is the achievement of future built outcomes adequately responding to and respecting the future desired outcomes expressed in environmental planning instruments and development control plans.
The modification application is considered to have satisfactorily addressed Council’s criteria and would provide a development outcome that, on balance, would result in a positive impact for the community. Accordingly, it is considered that the approval of the modified proposal would be in the public interest.
CONCLUSION
The Section 4.55(2) application proposes to increase the height of the approved alterations and additions to a dwelling house under development consent No. DA/478/2024.
The modification generally meets the desired outcomes of Council’s planning controls and is satisfactory having regard to the matters for consideration under Section 4.15 of the Environmental Planning and Assessment Act 1979.
Having regard to the circumstances of the case, approval of the modification is recommended.
The reasons for this decision are:
· Council is satisfied that the proposed modification is substantially the same as the approved development.
· The request to contravene the ‘Height of Buildings’ development standard is well founded. Strict compliance with the development standard is considered unreasonable and unnecessary in the circumstances of the case and sufficient environmental planning grounds have been submitted to justify the contravention to the development standard.
· The proposed modification generally complies with the requirements of the relevant environmental planning instruments and the Hornsby Development Control Plan 2024.
· The proposed modification does not create unreasonable environmental impacts to adjoining development with regard to visual bulk, solar access, amenity or privacy.
Note: At the time of the completion of this planning report, no persons have made a Political Donations Disclosure Statement pursuant to Section 10.4 of the Environmental Planning and Assessment Act 1979 in respect of the subject planning application.
|
Cassandra Williams Major Development Manager - Development Assessments Planning and Compliance Division |
Rod Pickles Manager - Development Assessments Planning and Compliance Division |
|
Clause 4.6 Written Request |
|
|
|
|
Addendum to Clause 4.6 Written Request |
|
|
|
|
Structural Engineer's Statement |
|
|
|
|
Architectural Plans |
|
|
File Reference: DA/478/2024/A/PUBLICACCESS
Document Number: D09199554
SCHEDULE 1
|
Date of this modification (Mod A): |
|
|
Details of this modification: |
Increase in the height of the approved first floor addition |
|
Conditions Added: |
Nil |
|
Conditions Deleted: |
3 |
|
Conditions Modified: |
1 |
GENERAL CONDITIONS
|
Condition |
1. Approved Plans and Supporting Documentation (Mod A)
The development must be carried out in accordance with the plans and documentation listed below and endorsed with Council’s stamp, except where amended by Council and/or other conditions of this consent:
Approved Plans
|
Plan Title |
Drawn by |
Dated |
Council Reference |
|
|
|
|
|
|
|
|
|
|
|
|
|
|
|
|
|
|
|
|
|
|
|
|
|
|
|
|
|
|
|
|
|
|
|
|
|
|
|
|
|
|
|
|
|
|
|
|
|
|
|
|
|
|
|
|
|
|
|
|
|
Ground Floor Plan |
Russell Scott Designs |
10 September 2025 |
|
|
First Floor Plan |
Russell Scott Designs |
10 September 2025 |
|
|
Basement Floor Plan |
Russell Scott Designs |
10 September 2025 |
|
|
Site Plan |
Russell Scott Designs |
10 September 2025 |
|
|
Front and Rear Elevations |
Russell Scott Designs |
10 September 2025 |
|
|
Side Elevation 1 and Side Elevation 2 |
Russell Scott Designs |
10 September 2025 |
|
|
Sections |
Russell Scott Designs |
10 September 2025 |
|
|
Door & Window Schedules |
Russell Scott Designs |
10 September 2025 |
|
|
Erosion and Sediment Control Plan |
Russell Scott Designs |
10 September 2025 |
|
|
BASIX Commitments |
Russell Scott Designs |
10 September 2025 |
|
Supporting Documentation
|
Document Title |
Prepared by |
Dated |
Council Reference |
|
Waste Management Plan |
N/A |
No Date |
D08876678 |
|
BASIX Certificate No. A1744814 |
Sophie Scott |
23 April 2023 |
D08876660 |
Reason: To ensure all parties are aware of the approved plans and supporting documentation that apply to the development.
2. No Clearing of Vegetation
1. Unless otherwise exempt, no vegetation is to be cleared prior to issue of a Construction Certificate.
2. Details demonstrating compliance are to be submitted to the Certifier prior to issue of Construction Certificate.
Reason: To protect vegetation on the site.
3. Amendment
of Plans (Mod A)
1. To
comply with Councils requirement in terms of privacy, the alfresco as indicated
in red on the approved plans must have privacy screening as follows:
a. A 1.5-metre-high privacy screen must be
erected along those parts of the eastern and western elevations of the deck
located less than 3m from the side boundary to minimise a direct line of sight
to the adjacent properties, known as No. 29 and 33 Boundary Road.
b. The screen must have no individual openings
more than 30mm wide and have a total of all openings less than 30% of the
surface area of the screen.
2. These
amended plans must be submitted with the application for the Construction
Certificate.
Reason: To require minor
amendments to the approved plans and supporting documentation following
assessment of the development.
4. Construction Certificate
1. A Construction Certificate is required to be approved by Council or a Principal Certifier prior to the commencement of any construction works under this consent.
2. The Construction Certificate plans must be consistent with the Development Consent plans.
Reason: To ensure that detailed construction certificate plans are consistent with the approved plans and supporting documentation.
5. Section 7.12 Development Contributions
1. In accordance with Section 4.17(1) of the Environmental Planning and Assessment Act 1979 and the Hornsby Shire Council Section 7.12 Development Contributions Plan 2019-2029, $990.00 must be paid towards the provision, extension or augmentation of public amenities or public services, based on development costs of $198,000.
2. The value of this contribution is current as of 4 September 2024 If the contributions are not paid within the financial quarter that this consent is granted, the contributions payable will be adjusted in accordance with the provisions of the Hornsby Shire Council Section 7.12 Development Contributions Plan and the amount payable will be calculated at the time of payment in the following manner:
|
$CPY |
= |
|
|
$CDC x CPIPY |
|
|
|
|
|
CPIDC |
Where:
$CPY is the amount of the contribution at the date of Payment
$CDC is the amount of the contribution as set out in this Development Consent
CPIPY is the latest release of the Consumer Price Index (Sydney - All Groups) at the date of Payment as published by the ABS.
CPIDC is the Consumer Price Index (Sydney - All Groups) for the financial quarter at the date of this Development Consent.
3. The monetary contributions shall be paid to Council:
a) Prior to the issue of the Subdivision Certificate where the development is for subdivision; or
b) Prior to the issue of the first Construction Certificate where the development is for building work; or
c) Prior to issue of the Subdivision Certificate or first Construction Certificate, whichever occurs first, where the development involves both subdivision and building work; or
d) Prior to the works commencing where the development does not require a Construction Certificate or Subdivision Certificate.
Note: Should the cost of works increase at Construction Certificate stage, a revised contribution amount will be calculated in accordance with the Hornsby Shire Council Section 7.12 Development Contributions Plan.
Note: It is the professional responsibility of the Principal Certifier to ensure that the monetary contributions have been paid to Council in accordance with the above timeframes.
Note: In accordance with Ministerial Directions, the payment of contribution fees for development with a cost of works of over $10 million can be deferred to prior to Occupation Certificate.
Note: The Hornsby Shire Council Section 7.12 Development Contributions Plan may be viewed at www.hornsby.nsw.gov.au or a copy may be inspected at Council’s Administration Centre during normal business hours.
Note: To arrange a Payment Advice for the monetary contributions, please contact Council’s Customer Service Team on 9847 6666.
Reason: To address the increased demand for community infrastructure resulting from the approved development.
BUILDING WORK
BEFORE ISSUE OF A CONSTRUCTION CERTIFICATE
|
Condition |
Detailed plans, specifications and supporting information is required to be submitted to the certifying authority detailing how the proposed building work achieves compliance with the National Construction Code - Building Code of Australia. All building work must be carried out in accordance with the requirements of the National Construction Code - Building Code of Australia.
Reason: Prescribed condition - EP&A Regulation section 69(1).
7. Contract of Insurance (Residential Building Work)
Where residential building work for which the Home Building Act 1989 requires there to be a contract of insurance in force in accordance with Part 6 of that Act, this contract of insurance must be in force before any building work authorised to be carried out by the consent commences.
Reason: Prescribed condition EP&A Regulation section 69(2).
8. Notification of Home Building Act 1989 Requirements
Residential building work within the meaning of the Home Building Act 1989 must not be carried out unless the Principal Certifier for the development to which the work relates (not being Council) has given Council written notice of the following information:
1. In the case of work for which a principal contractor is required to be appointed:
a) The name and licence number of the principal contractor; and
b) The name of the insurer by which the work is insured under Part 6 of that Act.
2. In the case of work to be done by an owner-builder:
a) The name of the owner-builder; and
b) If the owner-builder is required to hold an owner-builder’s permit under that Act, the number of the owner-builder’s permit.
Note: If arrangements for doing the residential building work are changed while the work is in progress so that the information notified becomes out of date, further work must not be carried out unless the Principal Certifier for the development to which the work relates (not being Council) has given Council written notification of the updated information.
Reason: Prescribed condition EP&A Regulation section 71(2) and (3).
9. Sydney Water Building Plan Approval
The plans must be approved by Sydney Water prior to demolition, excavation or construction works commencing. This allows Sydney Water to determine if sewer, water or stormwater mains or easements will be affected by any part of your development. Any amendments to plans will require re-approval. Please go to Sydney Water Tap in® to apply.
Note: Sydney Water recommends developers apply for a Building Plan Approval early as to reduce unnecessary delays to further referrals or development timescales.
Reason: To ensure the development complies with the requirements of Sydney Water.
10. Design and Construction - Bushfire Attack Category
New construction must comply with the current Australian Standard AS3959 ‘Construction of Buildings in Bush Fire-prone Areas’ Section 3 and 5 (BAL 12.5) and Planning for Bushfire Protection 2019.
Note: Further information concerning planning for bush fire protection can be found at: www.rfs.nsw.gov.au.
Reason: To ensure buildings are designed and constructed to withstand the potential impacts of bushfire attack.
11. Stormwater Drainage - Dwellings
The stormwater drainage system for the development must be designed for an average recurrence interval (ARI) of 20 years and be gravity drained in accordance with the following requirements:
1. The overflow from the rainwater tank and collected surface water must be disposed of in accordance with AUS-SPEC Specifications(www.hornsby.nsw.gov.au/property/build/aus-spec-terms-and-conditions) and the following requirements:
a) The trench must be located a minimum of 5 metres from any downstream properties and 1 metre from the side boundaries.
b) The trench or trenches must be laid on contour.
c) The trench must be a minimum of 0.6 metres wide, 0.6 metres deep and 1 metre long for every 25 square metres of impervious area; and
d) Overland flow from the trench must be spread evenly over the site so as not to discharge water in a concentrated manner onto adjoining land.
Or
e) The stormwater drainage system must be designed by a qualified hydraulic engineer.
Reason: To ensure appropriate provision for management and disposal of stormwater.
BEFORE BUILDING WORK COMMENCES
|
Condition |
12. Site Sign
1. A sign must be erected in a prominent position on any site on which any approved work involving excavation, erection or demolition of a building is being carried out detailing:
a) The name, address, and telephone number of the Principal Certifier.
b) The name of the principal contractor (if any) for any demolition or building work and a telephone number on which that person may be contacted outside working hours; and
c) Unauthorised entry to the work site is prohibited.
2. The sign must be maintained during excavation, demolition and building work is being carried out and must be removed when the work has been completed.
Reason: Prescribed condition EP&A Regulation, section 70(2) and (3).
13. Protection of Adjoining Areas
A temporary hoarding, fence or awning must be erected between the work site and adjoining lands before the works begin and must be kept in place until after the completion of the works if the works:
1. Could cause a danger, obstruction, or inconvenience to pedestrian or vehicular traffic.
2. Could cause damage to adjoining lands by falling objects; and/or
3. Involve the enclosure of a public place or part of a public place; and/or
4. Have been identified as requiring a temporary hoarding, fence, or awning within the Council approved Construction Management Plan (CMP).
Note: Notwithstanding the above, Council’s separate written approval is required prior to the erection of any structure or other obstruction on public land.
Reason: To ensure public safety and protection of adjoining land.
14. Toilet Facilities
1. To provide a safe and hygienic workplace, toilet facilities must be available or be installed at the works site before works begin and must be maintained until the works are completed at a ratio of one toilet for every 20 persons employed at the site.
2. Each toilet must:
a) Be a standard flushing toilet connected to a public sewer; or
b) Be a temporary chemical closet approved under the Local Government Act 1993; or
c) Have an on-site effluent disposal system approved under the Local Government Act 1993.
Reason: To ensure adequate toilet facilities are provided.
15. Erosion and Sediment Control Measures
Install and maintain adequate sediment and erosion control measures for the duration of all works, until such a time that sediment, sediment laden water or any other material/substance can no longer migrate from the premises. The measures are to be installed and maintained in such a manner as to prevent sediment, sediment-laden water, or any other materials and substances migrating from the site onto neighbouring land, the roadway, waters and/or into the stormwater system, and in accordance with:
a) The publication Managing Urban Stormwater: Soils and Construction 2004 (4th edition) - ‘The Blue Book’.
b) Protection of the Environment Operations Act 1997; and
c) The approved plans
Controls are to be monitored and adjusted where required throughout the works to ensure compliance with the above
Note: On the spot penalties may be issued for any non-compliance with this requirement without any further notification or warning. If you are unsure in how to achieve compliance with this condition during works, you may need to engage the services of a suitably qualified environmental, soil or geotechnical consultant to assist.
Reason: To minimise impacts on the water quality of the downstream environment.
16. Bushfire Management - Protection Zones
At the commencement of building works the entire property must be managed as an Inner Protection Area (IPA) as outlined within Appendix 4 of Planning for Bush Fire Protection 2019 and the NSW Rural Fire Service’s document Standards for asset protection zones.
Note: Further information concerning planning for bush fire protection can be found at: www.rfs.nsw.gov.au.
Reason: To minimise the risk of bushfire attack and provide for emergency services personnel, residents and others assisting firefighting activities.
DURING BUILDING WORK
|
Condition |
17. Hours of Work
1. All work on site (including remediation, demolition, construction, earth works and removal of vegetation), must only occur between 7am and 5pm Monday to Saturday.
2. No work is to be undertaken on Sundays or public holidays.
Reason: To protect the amenity of neighbouring properties.
18. Environmental Management (Air Pollution)
The Applicant must take all reasonable steps to minimise dust generated during all works (including remediation, demolition, earthworks and construction) authorised by this consent. During works, the Applicant must ensure that:
1. Exposed surfaces and stockpiles are suppressed by regular watering.
2. All trucks entering or leaving the site with loads have their loads covered.
3. Trucks associated with the development do not track dirt onto the public road network.
4. Public roads used by these trucks are kept clean; and
5. Land stabilisation works are carried out progressively on site to minimise exposed surfaces.
Reason: To minimise impacts to the natural environment and public health.
19. Council Property
To ensure that the public reserve is kept in a clean, tidy, and safe condition during remediation, demolition and construction works, no building materials, waste, machinery, or related matter is to be stored on the road or footpath.
Reason: To protect public land.
20. Disturbance of Existing Site
During construction works, the existing ground levels of open space areas and natural landscape features, including natural rock-outcrops, vegetation, soil, and watercourses must not be altered unless otherwise nominated on the approved plans.
Reason: To protect the natural features of the site.
21. Landfill Not Permitted
The importation of fill material associated with earthworks, or structural or engineering works, is not permitted as part of this consent.
Reason: To minimise environmental impacts from landform modification.
22. Survey Report
A report(s) must be prepared by a registered surveyor and submitted to the Principal Certifier:
1. Prior to the pouring of concrete at each level of the building certifying that:
a) The building, retaining walls and the like have been correctly positioned on the site; and
b) The finished floor level(s) are in accordance with the approved plans.
Reason: To ensure buildings are positioned in the approved location and at the correct height.
23. Waste Management
All work must be carried out in accordance with the approved waste management plan.
Reason: To ensure the management of waste to protect the environment and local amenity during construction.
24. Unexpected Finds
Should the presence of asbestos or soil contamination, not recognised during the application process be identified during any stage of works, the applicant must immediately notify the Principal Certifier and Council (compliance@hornsby.nsw.gov.au).
Reason: To ensure the appropriate removal and disposal of contaminated materials.
25. Erosion and Sediment Control
1. Works are not to result in the discharge of sediment and or run-off onto the adjoining properties or public land.
2. The person having the benefit of this consent must ensure that sediment and other materials are not tracked onto the roadway by vehicles leaving the site.
Note: On the spot penalties may be issued for any non-compliance with this requirement without any further notification or warning.
Reason: To minimise impacts on neighbouring properties and public land.
26. Soil and Water Management (Stockpiles)
1. Stockpiles of topsoil, sand, aggregate, soil or other material shall be protected with adequate sediment controls and must not be located on any drainage line or easement, natural watercourse, footpath or roadway.
2. The storage of stockpiled topsoil, sand, aggregate, soil or other materials must not result in the discharge of sediment or run-off onto the adjoining properties or public land.
Reason: To minimise impacts on the water quality of the downstream environment.
BEFORE ISSUE OF AN OCCUPATION CERTIFICATE
|
Condition |
27. Fulfilment of BASIX Commitments
The applicant must demonstrate the fulfilment of BASIX commitments pertaining to the development.
Reason: Prescribed condition under section 75. EP&A Regulation.
28. Damage to Council Assets
To protect public property and infrastructure, any damage caused to Council’s assets as a result of the construction or demolition of the development must be rectified by the applicant in accordance with AUS-SPEC Specifications (www.hornsby.nsw.gov.au/property/build/aus-spec-terms-and-conditions. Rectification works must be undertaken prior to the issue of an Occupation Certificate, or sooner, as directed by Council.
Reason: To ensure public infrastructure and property is maintained.
OCCUPATION AND ONGOING USE
|
Condition |
29. Ongoing Bushfire Management
Any requirements relating to bushfire protection must be maintained in perpetuity and landscaping works must:
1. Be of low flammability vegetation species comprising maximum tree cover of less than 30%, and maximum shrub cover less than 20%.
2. Provide courtyards/pathways/lawns/ and/or ground cover plantings without flammable woodchips/mulch in close proximity to the building.
3. Restrict planting in the immediate vicinity of the building which may, over time, and if not properly maintained, come in contact with the building.
4. Not provide planting that forms a continuous canopy to the building (i.e. trees or shrubs be isolated or located in small clusters); and
5. Use smooth bark species of trees species which generally do not carry a fire up the bark into the crown and avoid deciduous species, climbing species or species with rough fibrous bark, or which retain/shed bark in long strips or retain dead material in their canopies.
Note: Further information concerning planning for bush fire protection can be found at: www.rfs.nsw.gov.au.
Reason: To ensure bushfire protection measures are maintained to protect life and property.
30. Landscaping in Bushfire Prone Areas
Landscaping must comply with the principles of Appendix 4 of Planning for Bush Fire Protection 2019 and the following requirements:
1. Courtyards/pathways/grassed areas/mowed lawns/ or ground cover plantings being provided in close proximity to the building.
2. Restrict planting in the immediate vicinity of the building which may, over time, and if not properly maintained, come in contact with the building.
3. Maximum tree cover should be less than 30%, and maximum shrub cover less than 20%.
4. Planting should not provide a continuous canopy to the building (i.e. trees or shrubs should be isolated or located in small clusters).
5. When considering landscape species, consideration should be given to estimated size of the plant at maturity.
6. Avoid species with rough fibrous bark, or which retain/shed bark in long strips or retain dead material in their canopies.
7. Use smooth bark species of trees species which generally do not carry a fire up the bark into the crown.
8. Avoid planting of deciduous species that may increase fuel at surface/ ground level (i.e. leaf litter).
9. Avoid climbing species to walls and pergolas.
10. Locate combustible materials such as woodchips/mulch, flammable fuel stores away from the building.
11. Locate combustible structures such as garden sheds, pergolas and materials such as timber garden furniture away from the building.
12. Use of low flammability vegetation species.
Reason: To ensure landscaping is designed and maintained to minimise the risk of bushfire attack to protect life and property.
DEMOLITION WORK
BEFORE DEMOLITION WORK COMMENCES
|
Condition |
31. Site Sign
1. A sign must be erected in a prominent position on any site on which any approved work involving excavation, erection or demolition of a building is being carried out detailing:
a) The name, address, and telephone number of the Principal Certifier.
b) The name of the principal contractor (if any) for any demolition or building work and a telephone number on which that person may be contacted outside working hours; and
c) Unauthorised entry to the work site is prohibited.
2. The sign must be maintained during excavation, demolition and building work is being carried out and must be removed when the work has been completed.
Reason: Prescribed condition EP&A Regulation, section 70(2) and (3).
32. Asbestos Removal Signage
Before demolition or remediation work commences involving the removal of asbestos, a standard commercially manufactured sign containing the words ‘DANGER: Asbestos removal in progress’ (measuring not less than 400mm x 300mm) must be erected in a prominent position at the entry point/s of the site and maintained for the entire duration of the removal of the asbestos.
Reason: To alert the public to any danger arising from the removal of asbestos.
33. Protection of Adjoining Areas
A temporary hoarding, fence or awning must be erected between the work site and adjoining lands before the works begin and must be kept in place until after the completion of the works if the works:
1. Could cause a danger, obstruction, or inconvenience to pedestrian or vehicular traffic.
2. Could cause damage to adjoining lands by falling objects; and/or
3. Involve the enclosure of a public place or part of a public place; and/or
4. Have been identified as requiring a temporary hoarding, fence, or awning within the Council approved Construction Management Plan (CMP).
Note: Notwithstanding the above, Council’s separate written approval is required prior to the erection of any structure or other obstruction on public land.
Reason: To ensure public safety and protection of adjoining land.
34. Notice of Commencement for Demolition
At least one week before demolition work commences, written notice must be provided to council and the occupiers of neighbouring premises of the work commencing. The notice must include:
1. Name
2. Address
3. Contact telephone number
4. Licence type and license number of any demolition waste removal contractor and, if applicable, asbestos removal contractor
5. The contact telephone number of council
6. The contact telephone number of SafeWork NSW (4921 2900)
Note: The written notice to Council can be sent to devmail@hornsby.nsw.gov.au.
Reason: To advise neighbours about the commencement of demolition work and provide contact details for enquiries.
35. Toilet Facilities
1. To provide a safe and hygienic workplace, toilet facilities must be available or be installed at the works site before works begin and must be maintained until the works are completed at a ratio of one toilet for every 20 persons employed at the site.
2. Each toilet must:
a) Be a standard flushing toilet connected to a public sewer; or
b) Be a temporary chemical closet approved under the Local Government Act 1993; or
c) Have an on-site effluent disposal system approved under the Local Government Act 1993.
Reason: To ensure adequate toilet facilities are provided.
36. Erosion and Sediment Control Measures
Install and maintain adequate sediment and erosion control measures for the duration of all works, until such a time that sediment, sediment laden water or any other material/substance can no longer migrate from the premises. The measures are to be installed and maintained in such a manner as to prevent sediment, sediment-laden water, or any other materials and substances migrating from the site onto neighbouring land, the roadway, waters and/or into the stormwater system, and in accordance with:
a) The publication Managing Urban Stormwater: Soils and Construction 2004 (4th edition) - ‘The Blue Book’.
b) Protection of the Environment Operations Act 1997; and
c) The approved plans
Controls are to be monitored and adjusted where required throughout the works to ensure compliance with the above
Note: On the spot penalties may be issued for any non-compliance with this requirement without any further notification or warning. If you are unsure in how to achieve compliance with this condition during works, you may need to engage the services of a suitably qualified environmental, soil or geotechnical consultant to assist.
Reason: To minimise impacts on the water quality of the downstream environment.
DURING DEMOLITION WORK
|
Condition |
37. Hours of Work
1. All work on site (including remediation, demolition, construction, earth works and removal of vegetation), must only occur between 7am and 5pm Monday to Saturday.
2. No work is to be undertaken on Sundays or public holidays.
Reason: To protect the amenity of neighbouring properties.
38. Demolition
To protect the surrounding environment, all demolition work must be carried out in accordance with Australian Standard AS2601-2001 Demolition of structures and the following requirements:
1. Demolition material must be disposed of to an authorised recycling and/or waste disposal site and/or in accordance with an approved waste management plan; and
2. Demolition works, where asbestos material is being removed, must be undertaken by a contractor that holds an appropriate licence issued by SafeWork NSW in accordance with the Work Health and Safety Regulation 2017 and be appropriately transported and disposed of in accordance with the Protection of the Environment Operations (Waste) Regulation 2014; and
3. On construction sites where any building contains asbestos material, a standard commercially manufactured sign containing the words ‘DANGER ASBESTOS REMOVAL IN PROGRESS’ and measuring not less than 400mm x 300mm must be displayed in a prominent position visible from the street.
Reason: To ensure the appropriate removal and disposal of demolition materials.
39. Handling of Asbestos
While demolition or remediation work is being carried out, any work involving the removal of asbestos must comply with the following requirements:
1. Only an asbestos removal contractor who holds the required class of Asbestos Licence issued by SafeWork NSW must carry out the removal, handling, and disposal of any asbestos material.
2. Asbestos waste in any form must be disposed of at a waste facility licensed by the NSW Environment Protection Authority to accept asbestos waste; and
3. Any asbestos waste load over 100kg (including asbestos contaminated soil) or 10m² or more of asbestos sheeting must be registered with the EPA on-line reporting tool WasteLocate.
Reason: To ensure that the removal of asbestos is undertaken safely and professionally.
40. Environmental Management (Air Pollution)
The Applicant must take all reasonable steps to minimise dust generated during all works (including remediation, demolition, earthworks and construction) authorised by this consent. During works, the Applicant must ensure that:
1. Exposed surfaces and stockpiles are suppressed by regular watering.
2. All trucks entering or leaving the site with loads have their loads covered.
3. Trucks associated with the development do not track dirt onto the public road network.
4. Public roads used by these trucks are kept clean; and
5. Land stabilisation works are carried out progressively on site to minimise exposed surfaces.
Reason: To minimise impacts to the natural environment and public health.
41. Council Property
To ensure that the public reserve is kept in a clean, tidy, and safe condition during remediation, demolition and construction works, no building materials, waste, machinery, or related matter is to be stored on the road or footpath.
Reason: To protect public land.
42. Landfill Not Permitted
The importation of fill material associated with earthworks, or structural or engineering works, is not permitted as part of this consent.
Reason: To minimise environmental impacts from landform modification.
43. Waste Management
All work must be carried out in accordance with the approved waste management plan.
Reason: To ensure the management of waste to protect the environment and local amenity during construction.
44. Unexpected Finds
Should the presence of asbestos or soil contamination, not recognised during the application process be identified during any stage of works, the applicant must immediately notify the Principal Certifier and Council (compliance@hornsby.nsw.gov.au).
Reason: To ensure the appropriate removal and disposal of contaminated materials.
45. Erosion and Sediment Control
1. Works are not to result in the discharge of sediment and or run-off onto the adjoining properties or public land.
2. The person having the benefit of this consent must ensure that sediment and other materials are not tracked onto the roadway by vehicles leaving the site.
Note: On the spot penalties may be issued for any non-compliance with this requirement without any further notification or warning.
Reason: To minimise impacts on neighbouring properties and public land.
46. Soil and Water Management (Stockpiles)
1. Stockpiles of topsoil, sand, aggregate, soil or other material shall be protected with adequate sediment controls and must not be located on any drainage line or easement, natural watercourse, footpath or roadway.
2. The storage of stockpiled topsoil, sand, aggregate, soil or other materials must not result in the discharge of sediment or run-off onto the adjoining properties or public land.
Reason: To minimise impacts on the water quality of the downstream environment.